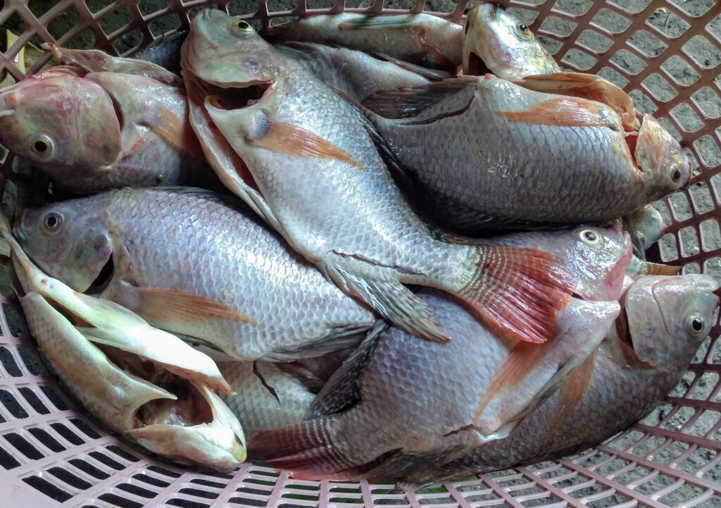
Con cerca de 8 toneladas de pescado fresco y precios por debajo del mercado, el Gobierno de la Unidad activa hoy viernes su tradicional subienda como apertura a la Semana Santa, una estrategia que impulsa el consumo local que fortalece directamente a productores piscícolas del departamento.
En una de las temporadas de mayor demanda del país, el Meta conecta a productores y consumidores con oferta de cachama y mojarra a bajo costo, consolidándose como potencia piscícola nacional y dinamizando la economía rural en municipios clave del territorio.
Villavicencio, Meta, 27 de marzo de 2026. En el inicio de la temporada de Semana Santa, el Meta promueve el consumo de pescado fresco a precios accesibles, en una estrategia que conecta a productores locales con los consumidores y dinamiza la economía rural del departamento.
La jornada, que se desarrollará hoy viernes 27 de marzo en el primer piso de la Gobernación, permite a los ciudadanos acceder a productos como cachama a $6.000 la libra y mojarra a $8.000, en una iniciativa que proyecta alta participación y fortalece los ingresos de asociaciones piscícolas del territorio.
Esta actividad hace parte de la tradicional subienda, que en esta ocasión reúne a productores de Acacías, Guamal y San Carlos de Guaroa, pertenecientes a las asociaciones Acuillanos y AGROPISANJUAN, quienes disponen de cerca de 8 toneladas de pescado fresco para su comercialización.
El Meta se mantiene como uno de los principales referentes piscícolas del país, ubicándose entre los cinco primeros productores con una cifra estimada de 18.750 toneladas anuales, de acuerdo con datos de la Secretaría Técnica Nacional de la Cadena de la Acuicultura (MADR), la AUNAP y las cadenas regionales.
El secretario de Agricultura y Desarrollo Rural, Andrés Pardo Romero, reiteró la invitación a la ciudadanía a participar en esta jornada: “Queremos que los metenses apoyen a nuestros productores locales, aprovechen estos precios y lleven a sus mesas un producto fresco y de excelente calidad para compartir en familia durante esta Semana Santa”.
Con este tipo de acciones, la Gobernación del Meta continúa promoviendo el consumo de productos locales, generando ingresos para los pequeños productores, contribuyendo al fortalecimiento de la economía rural en una de las temporadas de mayor demanda de pescado en el país.
